土地 春日部市永沼
所在地
春日部市永沼
1,980万円
170.91坪
はなみずき通りに⾯しております。
⾞両・資材置場に最適です。(要農転)
イオンモール春日部 約1500m 徒歩約19分
ローソン春日部永沼店 約357m 徒歩約5分
南桜井小学校 約2100m 徒歩約27分
葛飾中学校 約4m 徒歩約1分
月々の支払例
【※ボーナス払い無し】
【※ボーナス払い無し】
※埼玉りそな銀行/頭金0円、返済期間35年、金利0.950%変動金利変動金利(2026年04月)の場合
※金利は毎月見直されます。別途、融資手数料、その他諸費用がかかります。
※審査により金利は変わる可能性があります。
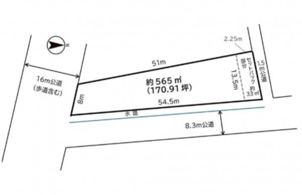
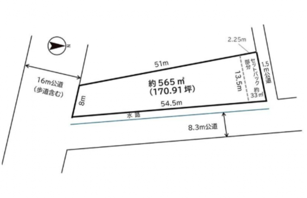
物件概要
- 交通
-
東武野田線 南桜井駅 まで 徒歩18分
- 接道状況
-
南側 公道16m 間口約8m
北側 公道1.5m 間口約13.5m - 土地面積
- 公簿 565.00㎡ (170.91坪)
- 建ぺい率
- 60%
- 容積率
- 200%
- 土地権利
- セットバック
- 有り
- 小学校区
- 南桜井 ( 2100m )
- 中学校区
- 葛飾 ( 4m )
- 私道負担
- 無
- 建築条件
- ー
- 地目
- 田
- 現況
- 更地
- 引渡時期
- 相談
- 上水道
- 公共
- 下水道
- 公共
- ガス
- プロパン個別
- 都市計画
- 市街化調整区域
- 用途地域
- 設備・条件
- 接道状況 (⾓地・間⼝) 南16.0m 公道 接⾯8.0m 北1.5m 公道 接⾯13.5m
- 備考
- ①~⑤の費用は買主負担①開発事前協議等申請費用②①の回答による整備費用③農地転用申請費用④地目変更費用⑤造成費用※農用地区域外(白地) ※法第34条12号区域
- 取引態様
- 仲介

